みなさま、お変わりございませんか(*´▽`*)
6月以来のご無沙汰をお許しくださいませ
<m(__)m>
ブログは休んでいましたが、
釣り情報は、
ツイッターで発信しております。
淀つりぐ店 公式ツイッターは
コチラへ
ツイッターは誰でも見れますので、
ブログと同じように楽しんでくださればと存じます
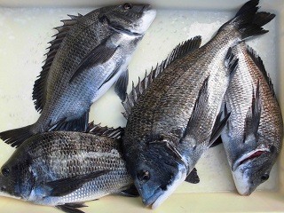
チヌ情報
10月7日の釣果ですが、
東かがわ市 双子島
東かがわ市 橋くん
41.7cm 38㎝ 37.7㎝ 36.8cm
東かがわ市 一子島 (東のハナ)
東かがわ市 近ちゃん
44.4cm 42.8cm 41.1cm 39.7cm 36㎝ 35.2cm
三本松波止では、
バクダン釣りで
手のひらサイズのチヌが山のごとし
フカセ釣りで
25cm前後のグレ
釣れております
太刀魚情報
8月中旬から、
釣れ始めた太刀魚
しか~~~~し、
サイズは指2本サイズ~指3本までと
やや型に難ありでした。
しっか~~~~~~し、
幾多の台風を受けるごとに
数はめっきり減りましてございます。
が、
サイズが大きくなりだし、
本日、
相方が釣ってきたのは
指3本半と、分厚い太刀魚でした。
人により、場所により、腕により、釣り方により、
数は異なりますが、
10匹前後釣れている人がいるようです。
新鮮な太刀魚を食べることができる
釣り人さんの特権である
美味しい太刀魚料理
参考にしてみてくださいませ。
『太刀魚のユッケ』
『太刀魚のにぎり鮨』
『太刀魚の天ぷら』
『太刀魚の塩焼き』
『太刀魚の炙りマヨ』
『太刀魚のおさしみ』
『太刀魚の骨せんべい』
例年より、
太刀魚は10月、11月と楽しめる予定です。
今後、
サイズ、数ともにアップするはずです
(。-`ω´-)キッパリ!!
↑
切なる希望
期待しましょう。
うふふ( *´艸`)
投げ情報
東かがわ市 横内海岸
13~20cmのキス
エサ:赤ゴカイ
意外に
大きいサイズは
手前にいるそうですよ。
三本松港で
65cmのハマチが釣れました。
翌日
三本松港で
47.5cmのサゴシが釣れました。
どよめきました。
14日の日曜日には、
25cmのカレイ、28cmのコノシロ
マイワシがたくさん釣れていました。
釣りを楽しめる季節となりましたね。
そして・・・
本日
東かがわ市三本松 西波止
午後4:20分ごろ見に行きました。
ウキ釣りで
20cm前後のサヨリ
胴付き仕掛けで
ウマヅラハギ
東波止では、
サビキ釣りで
イワシが釣れていたようです。
また、
ここ数日で、
15~20cmのウマズラハギが
釣れだしました。
とりあえず、
ご報告まで(*´▽`*)
みなさま、お疲れさまでした。(人''▽`)ありがとう☆ございました。
切れすぎる包丁はご注意ください。
うっかり、
やっちまいました。
(´;ω;`)ウゥゥ
キズパワーパッドで
すっかりよくなりました。(*´▽`*)
おかげさま~~~~
ブログを楽しんでくださっている皆さまへ
釣り情報は、
ツイッターでも楽しめます。
ツイッターをしていない人も
閲覧できますよ~~~
淀つりぐ店 公式ツイッターは
コチラへ
ではでは また (*´▽`*)
http://yodotsurigu.blog.shinobi.jp/%E9%87%A3%E3%82%8A%E6%83%85%E5%A0%B1/%E2%97%8F10-17-%E6%B0%B4-%E3%81%AE%E9%87%A3%E3%82%8A%E6%83%85%E5%A0%B1-%E5%B0%8F%E6%BD%AE-%E5%A4%A9%E6%B0%97-%E2%98%80%E6%B5%B7%E6%B0%B4%E6%B8%A9-●10/17(水)の釣り情報(小潮)天気:☀海水温(引田沖)22.5℃